一代宗师狗皮膏治疗股骨头坏死 秘方公开,造福世人!
- 民间偏方
- 2023-04-14
- 397
股骨头坏死是一种常见的骨关节疾病,可发生于任何年龄,但以31-60岁最多。主要表现为髋关节持续性疼痛,再由疼痛引发关节活动受到限制,最后导致残疾,生活无法自理,一个病人拖累一个家庭。
股骨头坏死是什么?
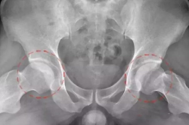
股骨头坏死又称股骨头无菌性坏死,或股骨头缺血性坏死,是骨坏死的一种。股骨头局部血运不良,引发股骨头血液循环障碍,从而使得股骨头进一步缺血、坏死、骨小梁断裂、股骨头塌陷的一种病变。股骨头坏死的原因西医大致概括为外伤、激素使用过量、酗酒、先天性发育、职业病以及其他疾病后期并发症等,现代医学目前尚无有效的治疗药物

中医称股骨头坏死为“骨蚀”。本病有多种病因,包括意外的创伤、慢性劳损、六淫之邪侵袭、七情内郁、饮食不节所致内损或用伐损之药。这些原因均可损伤气血,造成气血运行紊乱而出现瘀滞,加之机体体质虚弱,抗病能力低下,肝肾精血不足,导致肌肉筋骨失荣而发生痹痛,致使骨质疏松,也是股骨头缺血坏死的潜在原因。病变涉及肝、脾、肾。肾为先天之本,主骨生髓,肾健则髓生,髓满则骨坚;反之,则髓枯骨萎,失去应有的再生能力。肝主筋藏血,与肾同源,二者荣衰与共,若肝脏受累,藏血失司,不能正常调节血量,血液营运不周,营养难济,是造成股骨头坏死的重要病机。脾主运化,脾失健运,则筋骨肌肉皆无气血以生。
症状
疼痛:为间歇性或持续性,行走活动后加重。多为针刺样、钝痛或酸痛不适。常发生在腹股沟区,大腿内侧,臀部后侧,膝内侧,时常伴有麻木感。
关节僵直于活动受限:髋关节屈伸不利,下蹲困难,不能久站或久坐,早期外展、外旋活动受限。
跛行:早期由于疼痛导致间歇性跛行,中晚期股骨头塌陷导致,儿童更为明显。
一代宗师国医馆治疗的真实病例
近日,在长沙打工的37岁女子字艳红(化名)由于臀部里面痛得无法忍受,在老公的陪同下,来到国医馆诊治。“一年前我就感觉臀部里面比较痛,去医院检查说是股骨头坏死,治疗一段时间没那么痛了,我就又回去上班了。这一次实在是痛得走不动了,我决定来找中医”艳红描述着自己的病情。
1年前出现右髋、臀及大腿疼痛,疼痛呈间歇性、渐进性,常因长久站立、活动而加重。在当地医院拍摄CT片示:①L4~5椎间盘右侧突出;②L5~S1椎间盘膨出。服用止痛剂、卧床休息后可以减轻。3个月前患者出现疼痛加重,髋关节活动受限,以外展和内旋受限为主,不能盘腿,上下自行车时行动困难,但骑自行车尚可,下蹲不利。在当地医院诊断为:右股骨头坏死Ⅱ期。给予治疗后症状无缓解,来一代宗师国医馆治疗。症见:右髋、臀及大腿疼痛,疼痛呈间歇性,遇劳加重,头晕耳鸣,夜寐不安,少气乏力,苔薄质红,脉沉细。查:右腹股沟中点压痛,屈髋及外旋受限。

据悉,7年前,艳红和老公一起来到长沙打工,几日的辛苦寻找之后,艳芳最终来到了一家果冻厂上班,这也减轻了小两口的经济负担。然而,7年的流水线站立工作,每天工作12小时,现在却成了艳红右侧股骨头坏死的主要诱因。
后来艳红咨询一代宗师国医馆骨病专家宋主任,他表示,一般来说,导致股骨头坏死的原因主要有三类:过度使用激素药物、外伤、大量酗酒。但是艳红表示髋关节部位没有受过外伤,也不喝酒,没有激素用药史,所以她股骨头坏死最重要的一个考虑因素就是工作。每天站立工作12个小时,会受累于两个髋关节,导致股骨头血运功能不足,从而出现股骨头缺血性坏死。
诊断:股骨头坏死。
病机:股骨头坏死的病机是肝肾亏虚和气滞血瘀,是不荣则痛和不通则痛共存,虚实兼见。治疗当遵循内经“虚则补之,实则泻之”的原则,肝肾亏虚则当补肝肾,强筋骨,气滞血瘀则当行气活血,散瘀止痛。
证型:肝肾不足,血虚精亏。
治法:滋补肝肾,益气补血填精。
用药:一代宗师狗皮膏按膏穴疗法贴敷
二诊:疼痛缓解,精神渐好,晚上睡不安稳,开安神助眠中药茶饮辅助治疗。
三诊:疼痛减轻许多,精神渐好,睡眠好转,目前巩固治疗中。
一代宗师狗皮膏秘方公开造福股骨头坏死患者
临床多采用具有补血活血祛瘀、疏经通络、补气止痛、强筋壮骨等作用的中药对股骨头坏死进行治疗。黄芪、党参补中益气,升阳固表;当归、川芎、赤芍、怀牛膝活血化瘀,通络祛痹,可改善局部血液循环,有血活气通、祛瘀止痛、温散开郁之作用;升麻、柴胡升举清阳;熟地黄、山药、枸杞子、山萸肉、菟丝子、炙龟甲益肾生髓,祛风散节,滋肾养阴,可促进毛细血管再生,激活骨细胞分化增殖;骨碎补、狗脊、续断主骨生髓,补肾生骨,可提高自身免疫能力;白术、木香健脾行气;酸枣仁养心安神。全方具有促进患病部位血液循环,快速修复炎性渗出物,营养软骨,增强关节滑液分泌,修复病变关节及周围软组织,恢复新骨生理功能的作用。
下一篇:保险套为何不保险?
发表评论